Save
Ask
Tour
Hide
$239,900
35 Days On Site
Geauga Lake RoadChagrin Falls, OH 44023
For Sale|Land|Active Under Contract
County:
Geauga
Due to the health concerns created by Coronavirus we are offering personal 1-1 online video walkthough tours where possible.


Save
Ask
Tour
Hide
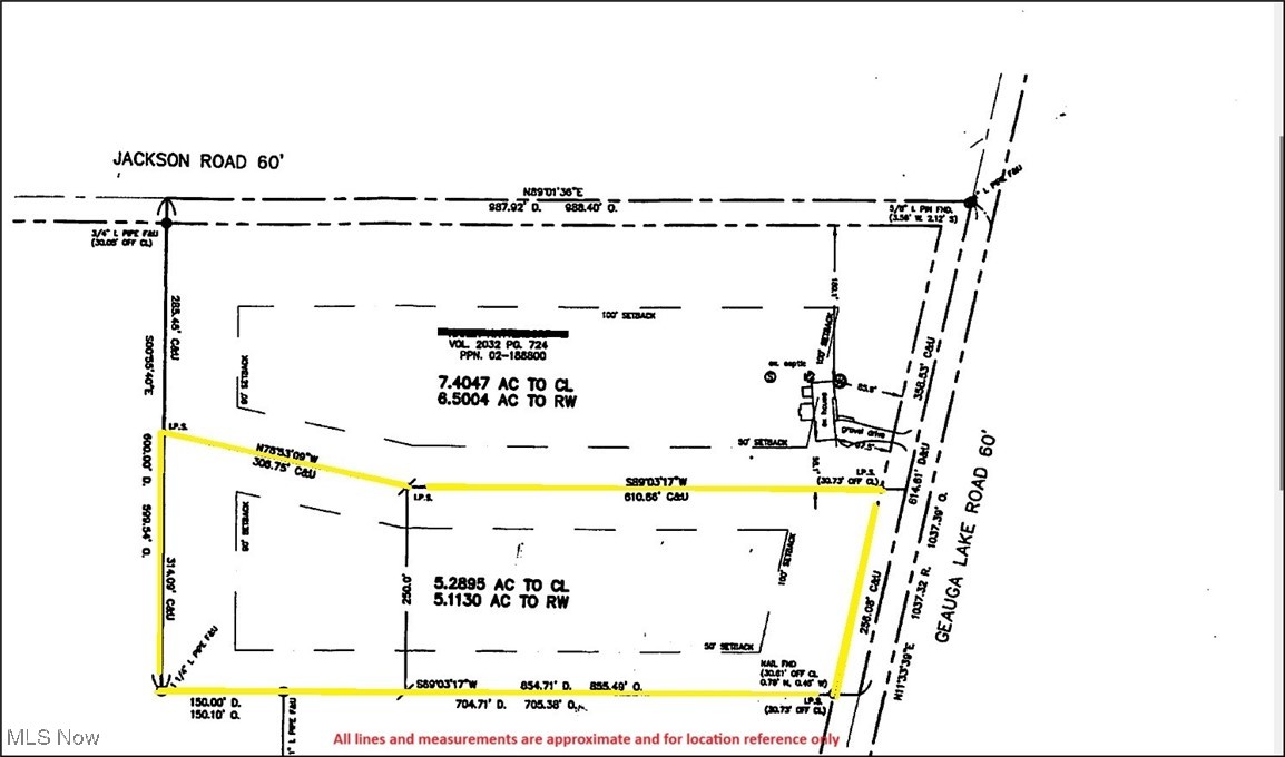
Lovely 5.29 wooded acres on scenic road in Bainbridge Township in the highly rated Kenston School district. Easy access to shopping in nearby Solon and Aurora. The property is not located in a subdivision, you can use your own builder and build whenever you want.
Save
Ask
Tour
Hide
Listing Snapshot
Price
$239,900
Days On Site
35 Days
Bedrooms
N/A
Inside Area (SqFt)
N/A
Total Baths
N/A
Full Baths
N/A
Partial Baths
N/A
Lot Size
5.29 Acres
Year Built
N/A
MLS® Number
5182628
Status
Active Under Contract
Property Tax
$968.74
HOA/Condo/Coop Fees
N/A
Sq Ft Source
N/A
Friends & Family
Recent Activity
| 2 weeks ago | Status changed to Active Under Contract | |
| 2 weeks ago | Listing updated with changes from the MLS® | |
| a month ago | Listing first seen on site |
General Features
Acres
5.29
Parking
None
Sewer
None
Special Circumstances
Standard
Utilities
Sewer Not AvailableWater Not Available
Water Source
None
Save
Ask
Tour
Hide
Exterior Features
Lot Features
SlopedWooded
Other Structures
None
Road Frontage
County Road
Community Features
School District
Kenston LSD - 2804
Township
Bainbridge Twp
Schools
School District
Kenston LSD - 2804
Elementary School
Unknown
Middle School
Unknown
High School
Unknown
Listing courtesy of Jeffrey S English of J. S. English Co., Inc.
The data relating to real estate for sale on this website comes in part from the Internet Data Exchange program of MLS NOW. Real estate listings held by brokerage firms other than are marked with the Internet Data Exchange logo and detailed information about them includes the name of the listing broker(s). The photos may be altered, edited, enhanced or virtually staged. Information Deemed Reliable But Not Guaranteed. Copyright 2026 - Multiple Listing Service, Inc. – All Rights Reserved.
The data relating to real estate for sale on this website comes in part from the Internet Data Exchange program of MLS NOW. Real estate listings held by brokerage firms other than are marked with the Internet Data Exchange logo and detailed information about them includes the name of the listing broker(s). The photos may be altered, edited, enhanced or virtually staged. Information Deemed Reliable But Not Guaranteed. Copyright 2026 - Multiple Listing Service, Inc. – All Rights Reserved.
Neighborhood & Commute
Source: Walkscore
Save
Ask
Tour
Hide


Did you know? You can invite friends and family to your search. They can join your search, rate and discuss listings with you.